Description
FOR SALE: One 6.5+/- Acre Residential Home Site. The administrative subdivision of the 12.92-acre parent tract is expected to be completed by May 2025, according to the sellers' engineers. Once the 13-acre parent tract is subdivided, the new 6.5+/- acre lot will be available for sale. The owners are willing to enter into a contract of sale contingent upon the final approval of the subdivision and the creation of the 6.5+/- acre lot. The owners will retain the remaining property and will only sell the 6.5+/- acre lot at the currently advertised asking price. The home to be built will be served by well water and a private septic system..The local listing agent will be available to answer any questions and will be happy to show your pre-qualified clients the property. Note:The Tax ID/MLS shows 12.92 acres for sale because that is the size of the parent tract from which the 6.5-acre building lot will be created. Once the subdivision record plat approval process is completed ,the 6.5-acre building lot will be assigned its own Property Tax ID number.
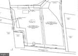
Description
FOR SALE: One 6.5+/- Acre Residential Home Site. The administrative subdivision of the 12.92-acre parent tract is expected to be completed by May 2025, according to the sellers' engineers. Once the 13-acre parent tract is subdivided, the new 6.5+/- acre lot will be available for sale. The owners are willing to enter into a contract of sale contingent upon the final approval of the subdivision and the creation of the 6.5+/- acre lot. The owners will retain the remaining property and will only sell the 6.5+/- acre lot at the currently advertised asking price. The home to be built will be served by well water and a private septic system..The local listing agent will be available to answer any questions and will be happy to show your pre-qualified clients the property. Note:The Tax ID/MLS shows 12.92 acres for sale because that is the size of the parent tract from which the 6.5-acre building lot will be created. Once the subdivision record plat approval process is completed ,the 6.5-acre building lot will be assigned its own Property Tax ID number.
©2026 Bright MLS, All Rights Reserved. IDX information is provided exclusively for consumers' personal, non-commercial use and may not be used for any purpose other than to identify prospective properties consumers may be interested in purchasing. Some properties which appear for sale may no longer be available because they are for instance, under contract, sold, or are no longer being offered for sale. Information is deemed reliable but is not guaranteed accurate by the MLS or EXIT Realty Enterprises. Some real estate firms do not participate in IDX and their listings do not appear on this website. Some properties listed with participating firms do not appear on this website at the request of the seller. Data last updated: 2026-01-20T18:54:25.887.
