Description
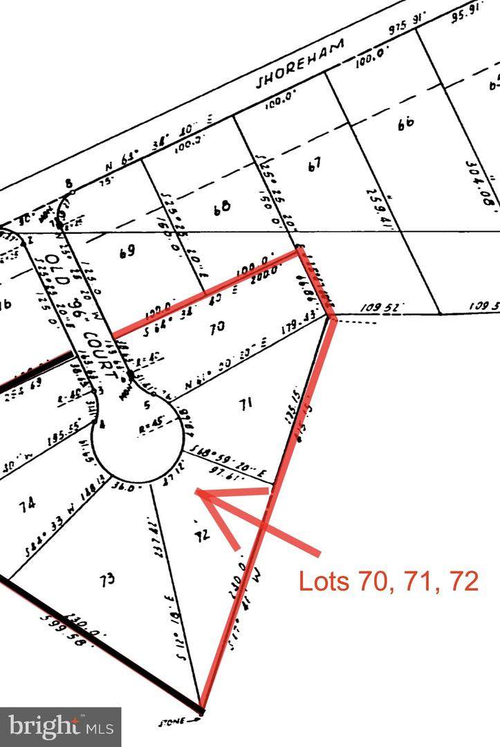
This is one of 3 separate and adjacent parcels. Lots 70, 71 and 72 are each available from this seller. Buyer to determine number of building sites for the 3 lots (consolidating or amending lot lines if needed). Lots may be sited in the critical area and buffer management may apply. Separately each lot is .3 or .34 or .41 acres and all three lots combined is 1.05 acres. See additional listings. It is seller’s preference to sell all 3 lots together/simultaneously and has priced accordingly for this opportunity. Most likely 1-2 building sites are possible but must be verified by the county. Old Ct is currently a paper road which can be accessed from Shoreham Beach Rd by walking, not driving. It is located between 4105 and 4101 Shoreham Beach Rd. Lots are wooded and not cleared. Please contact listing agent for access details and be respectful of neighbors. Well water. Public septic available with stub for sewer (public septic) extension available where Old Ct meets Shoreham Beach Rd. Survey not available. Buyer to verify accuracy of all information and to do any further due diligence. No sign on property.
-
0BEDS
-
0.34ACRES
-
0BATHS
-
01/2 BATHS
School Information
Description
This is one of 3 separate and adjacent parcels. Lots 70, 71 and 72 are each available from this seller. Buyer to determine number of building sites for the 3 lots (consolidating or amending lot lines if needed). Lots may be sited in the critical area and buffer management may apply. Separately each lot is .3 or .34 or .41 acres and all three lots combined is 1.05 acres. See additional listings. It is seller’s preference to sell all 3 lots together/simultaneously and has priced accordingly for this opportunity. Most likely 1-2 building sites are possible but must be verified by the county. Old Ct is currently a paper road which can be accessed from Shoreham Beach Rd by walking, not driving. It is located between 4105 and 4101 Shoreham Beach Rd. Lots are wooded and not cleared. Please contact listing agent for access details and be respectful of neighbors. Well water. Public septic available with stub for sewer (public septic) extension available where Old Ct meets Shoreham Beach Rd. Survey not available. Buyer to verify accuracy of all information and to do any further due diligence. No sign on property.
©2026 Bright MLS, All Rights Reserved. IDX information is provided exclusively for consumers' personal, non-commercial use and may not be used for any purpose other than to identify prospective properties consumers may be interested in purchasing. Some properties which appear for sale may no longer be available because they are for instance, under contract, sold, or are no longer being offered for sale. Information is deemed reliable but is not guaranteed accurate by the MLS or EXIT Realty Enterprises. Some real estate firms do not participate in IDX and their listings do not appear on this website. Some properties listed with participating firms do not appear on this website at the request of the seller. Data last updated: 2026-01-17T17:51:29.227.
